-

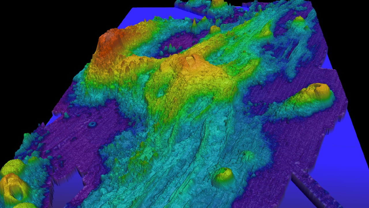
Oregon’s underwater volcano didn’t erupt in 2025, here’s why
Read More: Oregon’s underwater volcano didn’t erupt in 2025, here’s whyFor much of 2025, an underwater volcano off the Oregon coast was treated as a geological ticking clock, with forecasts…
-

No assembly needed: this space station could launch in 1 shot
Read More: No assembly needed: this space station could launch in 1 shotThe next generation of orbital outposts is being designed to skip the painstaking, decade‑long construction that defined the International Space…
-

Satellites spot heat leaking from America’s biggest crypto mine
Read More: Satellites spot heat leaking from America’s biggest crypto mineFrom hundreds of miles above Texas, satellites are now tracing the thermal footprint of America’s largest cryptocurrency mine, turning invisible…
-

Are AIs conscious? One researcher says we may never know
Read More: Are AIs conscious? One researcher says we may never knowArtificial intelligence now writes code, drafts legal memos, and chats in eerily fluent prose, yet the most unsettling question about…
-

A missing brain molecule could be fueling vascular dementia
Read More: A missing brain molecule could be fueling vascular dementiaVascular dementia has long been overshadowed by Alzheimer’s disease, yet it is one of the leading causes of cognitive decline…
-

Tesla robotaxis in California top 1,600, closing in on Waymo
Read More: Tesla robotaxis in California top 1,600, closing in on WaymoTesla’s quiet buildout of its Bay Area ride-hailing fleet has turned into a numbers story that is hard to ignore.…
-

What’s inside Trump’s $900B Pentagon plan for Cyber Command
Read More: What’s inside Trump’s $900B Pentagon plan for Cyber CommandThe Trump administration’s new $900 billion Pentagon blueprint is not just another defense bill, it is a deliberate attempt to…
-

Scientists quiet seizures by removing aging brain cells
Read More: Scientists quiet seizures by removing aging brain cellsScientists are testing a strikingly simple idea for calming some of the brain’s most stubborn seizures: remove the aging cells…
-

Korea tests an ultra-rugged robot built for the Moon’s caves
Read More: Korea tests an ultra-rugged robot built for the Moon’s cavesSouth Korean engineers are stress testing a new kind of lunar robot that is designed to survive the Moon’s most…
-

Iraq dig rewrites how religions coexisted far earlier than thought
Read More: Iraq dig rewrites how religions coexisted far earlier than thoughtArchaeologists working in northern Iraq have uncovered a 1,500‑year‑old religious complex that is forcing scholars to rethink when and how…








